Skip To Content
Spectrus Conduit™

R&D Workflow Automation with Native Support for Analytical Data

Request a Consultation or Demo

Spectrus Conduit™ Overview

No-Code Automation for Your Analytical & Chemical Dataflows

Spectrus Conduitâ„¢ is the first low-code/no-code application for automation of R&D workflows with native support for analytical instrument data. Connect, design, and manage dataflows from analytical instruments (LC/MS, NMR, Raman, and all the major analytical techniques) and other data sources, like never before!

Use Spectrus Conduit to:

  • Create scalable, instrument-agnostic dataflows across the enterprise
  • Enable real-time decisions based on harmonized, multi-technique data assembled in context
  • Support downstream AI/ML projects
Benefits

Why Choose Spectrus Conduit?

Take Control of Automation

  • Implement and modify dataflows without reliance on vendor services
  • Flexible low-/no-code tools are suitable for SMEs and IT professionals alike

Connect & Expand Heterogeneous Data Landscapes

  • Spectrus Conduit enables automation of data marshalling and format standardization, making it easier than ever to unify and centralize heterogeneous analytical data
  • Marshall experiment/process and other relevant data as well, regardless of format

Ensure Consistency & Data Integrity

  • Built-in support for analytical data handling enables consistent analysis across analysts, labs, and sites
  • Eliminate transcription errors between systems

Accelerate Innovation Today

  • Get real-time access to data and analysis insights, ready for use in decision-support interfaces and business intelligence applications

Proliferate Knowledge and Ease Collaboration

  • Ensure data is stored with full chemical context can be easily found and re-used
  • Automate report creation and distribution

Embrace the Technology of Tomorrow

  • Ensure readiness to take advantage of advanced technologies including AI/Ml and digital twins with structured, assembled, export-ready data

Enterprise Technology Without Tradeoffs

Designed with Analytical Data at the Forefront

  • Seamless integration of analytical instrument data with native support for > 150 data formats
  • Capabilities for analytical data processing, interpretation, and reporting backed by time-tested algorithms

Homogenous, Structured, Contextualized Data

  • Normalized analytical data for AI/ML, data science, and business intelligence applications
  • JSON export available for easy transfer to other systems when necessary

Peace of Mind with Supported Integrations

  • Designed to integrate with instrument hardware, software, and many applications typically used in the analytical laboratory
  • API to integrate seamlessly into your informatics ecosystem

Streamlined Deployment & Maintenance

  • Browser-based deployment for simpler roll-out, implementation of updates, and maintenance
  • Deploy on-premises or on the cloud (hosted in your environment)
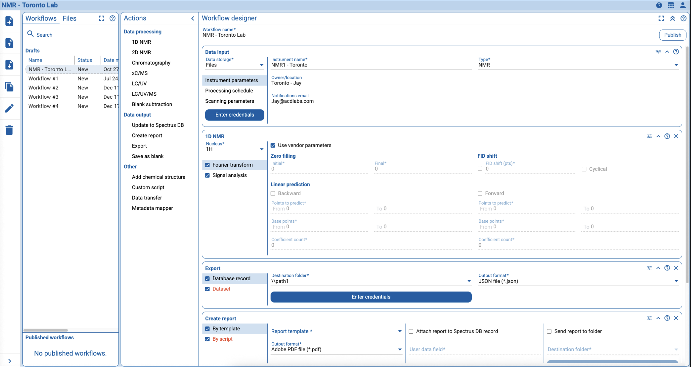
Design workflows for all your analytical data

Design workflows for all your analytical data from retrieval through format standardization, processing, analysis, reporting, and storage.

Create and edit automated straightforward workflows with no coding required

Create and edit automated straightforward workflows with no coding required — simply drag and drop actions to add them to the workflow.

Easily access files and scripts

Easily access files and scripts to incorporate them into more complex workflows.

Monitor the status of active workflows.

Monitor the status of and review information related to active workflows.

How It Works

Automate Analytical & Chemical Dataflows

Product Features

Features of Spectrus Conduit

  • Create and manage data flows with tools for all levels of coding experience
    • Drag-and-drop coding environment empowers SMEs to automate their own dataflows
    • Scripting environment for complex workflows
  • Automatically retrieve data from a variety of sources including analytical instruments, databases, ELNs, LIMS, CDS, data lakes, and object stores
  • Marshall analytical and other data easily between data sources and destinations, regardless of format
  • Automate analytical data operations
    • Format standardization
    • Processing
    • Prediction
    • Analysis
    • Reporting
  • Database contextual, connected data
  • Export normalized data to JSON format for easy transfer to other systems when necessary
Deployment/Integration Options

Deploy On-Cloud or On-Premises

Spectrus Conduit can be deployed on-premises or on client-hosted Cloud (e.g., AWS).

Integrate into Your Existing Informatics Infrastructure

Spectrus Conduit’s API allows you enables easy integration into your analytical instruments and informatics systems.

Compatible with All Your Instruments and Software

Compatible with All Your Instruments and Software